1.73 Acres for Sale in Portland, OR




Parcel: R324007
Location: 45.584607, -122.806785
Deed type: Grant Deed
Road access: Paved
Utilities: Well and Septic Needed
Zoning: Rural Residential
Taxes: 4258
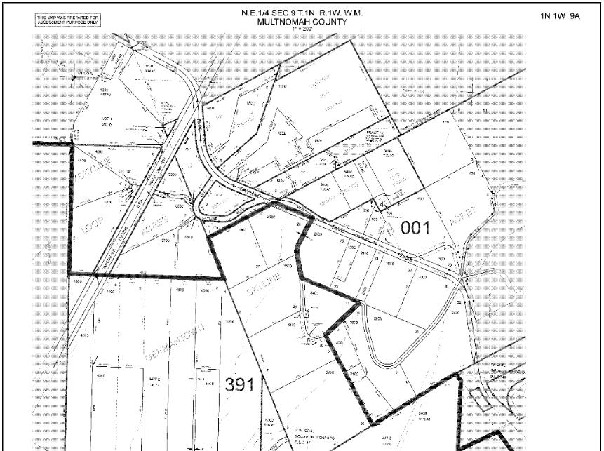
Legal: Section 09 1N 1W, Tl 5500 1.73 Acres
Address: 12627 Northwest Germantown Road, Portland, Multnomah County, Oregon, United States, 97231
This 1.73 Acre tract of rural residential land is just minutes from Downtown Portland and steps away from the Forest Park. Come build the home of your dreams. Nice secluded lot with magnificent views from the top of the property. Property is approved for septic already and has your homes site cleared as well. Short drive to Vancouver, downtown Portland, and Oregon City.
Property can close through title company with title insurance for approx. $1500-$2000. In house closing is available for $499. Buyer is to perform their own due diligence and pay all closing costs and title fees if choosing to close with title company.
>Zoning: RR- Rural Residential - The purposes of the Rural Residential District are to provide areas for residential use for those persons who desire rural living environments; to provide standards for rural land use and development consistent with desired rural character, the capability of the land and natural resources; to manage the extension of public services; to provide for public review of non-residential use proposals and to balance the public's interest in the management of community growth with the protection of individual
property rights through review procedures and flexible standards.
>Allowed Use: Residential use, consisting of a single family dwelling constructed off-site, including a mobile or modular home, subject to the following conditions:
The dwelling shall have a minimum floor area of 600 square feet.
***Seatbacks: Front: 30 ft, Rear: 30 ft, Side: 10 ft Street Side: 30 ft Height: 35 Ft
>Buildable Lot: Yes
>Legal Rd Access: Yes
>Animals Allowed: Yes
**Raising of livestock and honeybees. Any other agricultural or horticultural purpose or animal husbandry purpose
>Impact Fee: None
>Flood Zone Area or Wetland: No
>Utilities: Septic & Well Required
