.14 Acres for Sale in Hornbrook, California
$4,950




+0
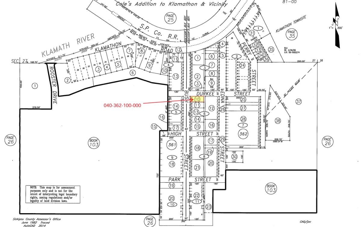
Location: 41.893344, -122.520565
Address: 15608 Klamathon Road, Hornbrook, Siskiyou County, California, United States, 96044
This rural location near the Oregon Border has unobstructed views of the sky and an abundance of wild animals. Siskiyou County offers world class fly fishing, skiing and snowboarding. Other activities, just to name a few, include gold panning, bird watching (Bald Eagles, Great Blue Heron and Osprey), snowmobiling, camping, backpacking, river rafting and the World Famous Pacific Coast Trail.
W
